Skip to content
  • Jump to:
  • Damage symptoms
  • Life cycle

General

The beet armyworm (Spodoptera exigua) has become a regular problem for horticulturalists due to its resistance to nearly all insecticides, and its ability to develop on wild vegetation during the summer. It is highly polyphagous, feeding on plants of more than 20 families. It is a serious pest in greenhouses, where it feeds on ornamental plants such as chrysanthemum, gerbera, roses and potted plants. In both the greenhouse and the field, it is a major pest of sweet pepper.

Biological solutions for Beet armyworm

Filters:
Clear all filters
Show all Show less
products found:

Questions or need help?

Contact us
  • Easy to use
  • Minimal resistance
  • No chemical residues
  • No pre-harvest intervals

Learn more about

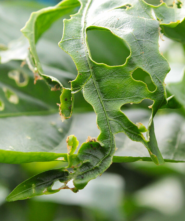
Damage symptoms

Older caterpillars migrate to the top of the plant where they feed mainly on the growing tips. They produce large holes in the leaf, sometimes stripping the leaf down to the mid-rib. Flowers and buds are also attacked. This large-scale damage has considerable consequences for the growth of the crop. With a substantial population of caterpillars, the damage can spread to the stems, and in the worst cases to the fruit. This often leads to the entire contents being consumed. In ornamental crops the worst damage is caused by attacks on flowers and buds.

Life cycle and appearance of Beet armyworm

The beet armyworm (Spodoptera exigua) is a small, nondescript moth, that hides during the day and is active only at night. The forewings are grey-brown suffused with a dark brown or black. The head and thorax are brown and the abdomen grey-brown. The forewings have a yellowish, kidney-shaped mark. The white hindwings have a clearly outlined brown venation.

The beet armyworm (Spodoptera exigua) lays its eggs in packets, sometimes in several layers, and on top of a mass of white, cottony hairs and scales from the moth’s body. The eggs, usually grey but sometimes greenish or pinkish, are laid at night, preferably low in the crop on the underside of leaves, in groups of 10 to 250 eggs.

They hatch after several days, revealing small, drab yellow-green caterpillars. Their colour gradually changes to yellow, green, brown or even black. The colour and pattern of the caterpillars is highly variable and depends partly on the host plant, the stage of development and the climate. A full-grown beet armyworm (Spodoptera exigua) caterpillar can be 25 to 38 mm in length, with dark, wrinkled stripes dorsally and a yellow band running the length of the body on either side, above which there is a black dot on each segment.

The young caterpillars live in groups and spin loose webs over the leaves, under which they remain until the third or fourth instar. Older caterpillars are active walkers and can cover considerable distances. Therefore, caterpillars from the same cluster of eggs can cause damage at various locations within the crop. The beet armyworm (Spodoptera exigua) feeds mainly at night and conceals itself during the day, although the youngest instars will feed during daytime. Full-grown caterpillars move to the ground in preparation for pupation. Although pupation sometimes occurs in the crop, it usually takes place on the surface of the ground in a loosely spun cocoon, consisting of soil particles glued together with a sticky secretion. Pupae are brown and 15 to 20 mm long, and resemble those of other noctuid moths. After five or ten days the adult moth emerges from the pupa.

Need help?